|

5月31日、坂井様 |

5月31日、奥田様 |

5月31日、都留様 |

5月29日、堀野様 |

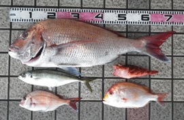
5月29日、真鯛1位75cm、堀野様
土井様の記録74cmを更新しました |

5月28日、大橋様 |

5月29日、菅様 |

5月25日、堀山様 |

5月25日、奥田様 |

5月25日、イズカサゴ41cm、堀山様
自己記録の33cmを更新しました |

5月25日、和泉様 |

5月25日、吉田様 |

5月25日、マアジ43cm、茗荷様
中川様の記録42cmを更新しました |

5月24日、二宮様 |

5月24日、奥田様 |

5月24日、堀山様 |

5月24日、小島様 |

5月24日、ガシラ38cm、丸本様
和泉様の記録37cmを更新しました |

5月22日、スズキ75cm、三原様
吉田様の記録60cmを更新しました |

5月18日、大山様 |

5月19日、西村様 |

5月18日、佐藤様 |

5月18日、アラ64cm、佐藤様
今年度最長記録です |

5月18日、土井様 |

5月17日、チカメキントキ40cm、松山様
自己記録の31cmを更新しました |

5月14日、菅様 ↑→ |
 |

5月11日、佐坂様 |
 5月11日、オコゼ30cm、柏原様
今年度最長記録です |

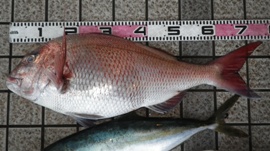
5月11日、真鯛1位74cm、土井様
大山様の記録73cmを更新しました |

5月11日、土井様 |

5月11日、グレ49cm、糸井様
今年度最長記録です |

5月11日、糸井様 |

5月11日、川勝様 |

5月11日、葛原様 |

5月10日、丸本様 |

5月10日、古本様 |

5月9日、小島様、ブリ11.2kg! |

5月10日、マアジ42cm、中川様
梶原様の記録39cmを更新しました |

5月9日、小島様 |

5月8日、和泉様 |

5月6日、土井様 |

5月6日、ヒラマサ84cm、土井様
和泉様の記録81cmを更新しました |

5月6日、土居様 |

5月6日、巽様 |

5月5日、中尾様 |

5月6日、岩井田様 |

5月5日、堀山様 |

5月5日、ムシガレイ41cm、堀山様
自己記録の40cmを更新しました |

5月5日、土井様 |
 5月5日、アオハタ50cm、土井様
中西様の記録41cmを更新しました |

5月4日、堀山様 |

5月4日、堀野様 |

5月4日、奥谷様 |

5月4日、玄様 |

5月4日、茗荷様 |

5月4日、土井様 |

5月4日、高木様 |

5月4日、坂井様 |

5月4日、イサキ44cm、糸井様
今年度最長記録です |

5月4日、糸井様 |

5月4日、荒井様 |

5月4日、上田様 |

5月2日、土井様 |

5月3日、土井様 |

5月2日、石本様、ブリ10kg |

5月2日、石本様 |

5月2日、桑名様 |
|