
6月29日、藤田様 |

6月29日、東様 |

6月29日、シロギス28cm、柏原様
太田様の記録24㎝を更新しました |

6月28日、アマダイ48cm、藤田様
井上様・自己記録の46㎝を更新しました |

6月25日、藤田様 |

6月25日、奥田様 |

6月24日、上山様 |

6月24日、藤田様 |
 6月23日、ニジカジカ28cm、堀山様
今年度最長記録です |

8月24日、安田様 |

6月23日、サバ34cm、堀山様
今年度最長記録です |

6月23日、堀山様 |

6月22日、ムロアジ28cm、堀山様
今年度最長記録です |

6月23日、藤田様 |

6月22日、後藤様 |

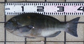
6月18日、グレ38cm、和泉様
今年度最長記録です |

6月18日、奥田様 |

6月18日、和泉様 |

6月18日、アマダイ46cm、藤田様
井上様と並び最長記録です |

6月18日、小島様 |

6月18日、中西様 |
 |
 |
 |
 |

6月17日、奥田様 |

6月17日、藤田様 |

6月17日、シロギス24cm、太田様
今年度最長記録です |

6月16日、藤田様 |

6月17日、太田様 |

6月11日、奥田様 |

6月12日、藤田様 |

6月11日、ゴマフグ39cm、横井様
今年度最長記録です |

6月11日、藤田様 |

6月11日、松村様 |

6月11日、マトウダイ47cm、島様
大森様の記録44㎝を更新しました |

6月10日、小林様 |

6月11日、前田様 |

6月9日、安東様 |

6月9日、イサキ43cm、安東様
堀山様の記録42㎝を更新しました |
 |

← 6月9日、藤原様 ↑ |

6月4日、藤原様 |

6月9日、小島様 |

6月4日、横山様 |
|