
5月27日、佐坂様 |

5月28日、藤田様 |

5月27日、藤田様 |

5月27日、松村様 |

5月26日、後藤様 |

5月27日、オコゼ22cm、松村様
今年度最長記録です |

5月26日、矢野様 |

5月25日、藤田様 |

5月21日、藤田様 |

5月25日、鈴木様 |

5月18日、ヒラメ82cm、藤田様
和泉様の記録55㎝を更新しました |

5月18日、藤田様 |

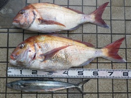
5月13日、レンコダイ33㎝、藤田様
和泉様・堀山様とタイ記録です |

5月13日、藤田様 |

5月13日、藤原様 |

5月12日、梶原様 |

5月12日、藤田様 |

5月12日、マハタ48cm、佐藤様
今年度最長記録です |

5月12日、森川様 |

5月12日、上田様 |

5月11日、ブリ97cm、森木様
藤田様・北星社様・佐藤様の記録94㎝を
更新しました |

5月12日、梶原様 |

5月11日、森木様 |

5月6日、安井様 |

5月5日、上田様 |

5月5日、ホウボウ42cm、矢野様
新開様の記録41㎝を更新しました |

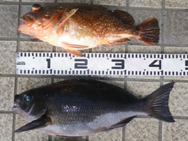
5月2日、グレ44cm、戸波様
今年度最長記録です |

5月2日、戸波様 |

5月1日、石本様 |

5月1日、山田様 |

5月1日、大森様 |
|